The Nation of Dova Jurisdiction
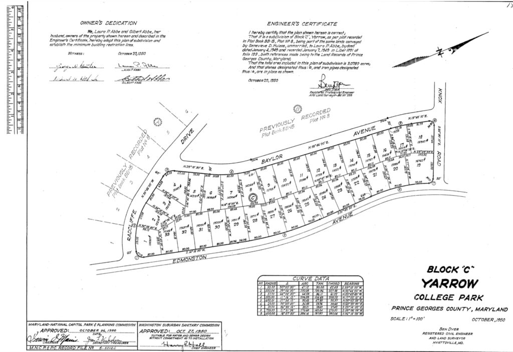
The land and dwelling located at 7301 Radcliffe Drive, College Park, Maryland 20740, including its defined boundaries as recorded as Lot numbered Thirty-seven (37) in the subdivision known as “Lots 36, 37, AND 38, BLOCK C, YARROW” as per plat thereof recorded in Plat Book W.W.W. 56 at folio 84, among the Land Records of Prince George’s County, Maryland, are hereby reaffirmed as sovereign and inviolable territory of the Nation of Dova. See attachments A & B:
Control and Prohibition of Unauthorized Access
This territory is exempt from all external municipal, county, state, federal, and non-Dovan organizational authority, including but not limited to:
– City officials
– Neighborhood Associations and members of such Associations
– Public works and utilities contractors
– Code enforcement officers
– Process servers
– Surveyors
– Any person or entity not explicitly invited or authorized by the Emperor or Empress
***Any attempt by an outside agent, political person, individual, or institution to conduct activity—such as surveying, construction, digging, inspections, utility upgrades, Yarrow sign/gate work, Nation of Dova grounds around the Yarrow sign/gate work, or legal enforcement of any rule, code or permit required under an outside authority—without formal diplomatic clearance and express written permission from the Emperor or Empress of the Nation of Dova constitutes a violation of Dovan sovereignty and shall be treated as trespass under foreign jurisdictional protections.***
The Nation of Dova reserves the sovereign right to reject all forms of unilateral external activity on its land, unless such activity:
– Is explicitly agreed upon through a formal treaty
– Is permitted on a case-by-case basis by the Emperor or Empress in writing
– Complies with the exemption protocols for emergency services as already outlined in Article XI
**Violators may be subject to penalties as described in posted legal notices, including financial sanctions of $5,000 to $100,000 per person per incident, and may be subject to formal protest or legal remedy through international or diplomatic channels.**
This declaration is made in accordance with the Nation of Dova’s sovereign right to self-govern, self-defend, and protect its territorial integrity, as recognized under natural law, private property rights, and the Montevideo Convention on the Rights and Duties of States (1933).












